ORIGINAL RESEARCH article
Front. Toxicol.
Sec. Neurotoxicology
This article is part of the Research TopicMineral Particles and Fibers and Human Health Risks: State-of-the-Art in Characterization, Analysis, Tissue Analytics, Exposure Thresholds for Risk, Epidemiology, and Risk Assessment for Science-Based Regulation and Disease Prevention and Implications for Occupational Health and SafetyView all 24 articles
Nose to Brain Translocation of Inhaled Ultrafine Elongated Particles: Facts and Mysteries
Provisionally accepted- 1BioInnovations Institute, Natick, United States
- 2The University of Chicago Medicine, Chicago, United States
- 3Boston University, Boston, United States
- 4Rush University Medical Center, Chicago, United States
- 5University of Washington, Seattle, United States
- 6University of Rochester, Rochester, United States
Select one of your emails
You have multiple emails registered with Frontiers:
Notify me on publication
Please enter your email address:
If you already have an account, please login
You don't have a Frontiers account ? You can register here
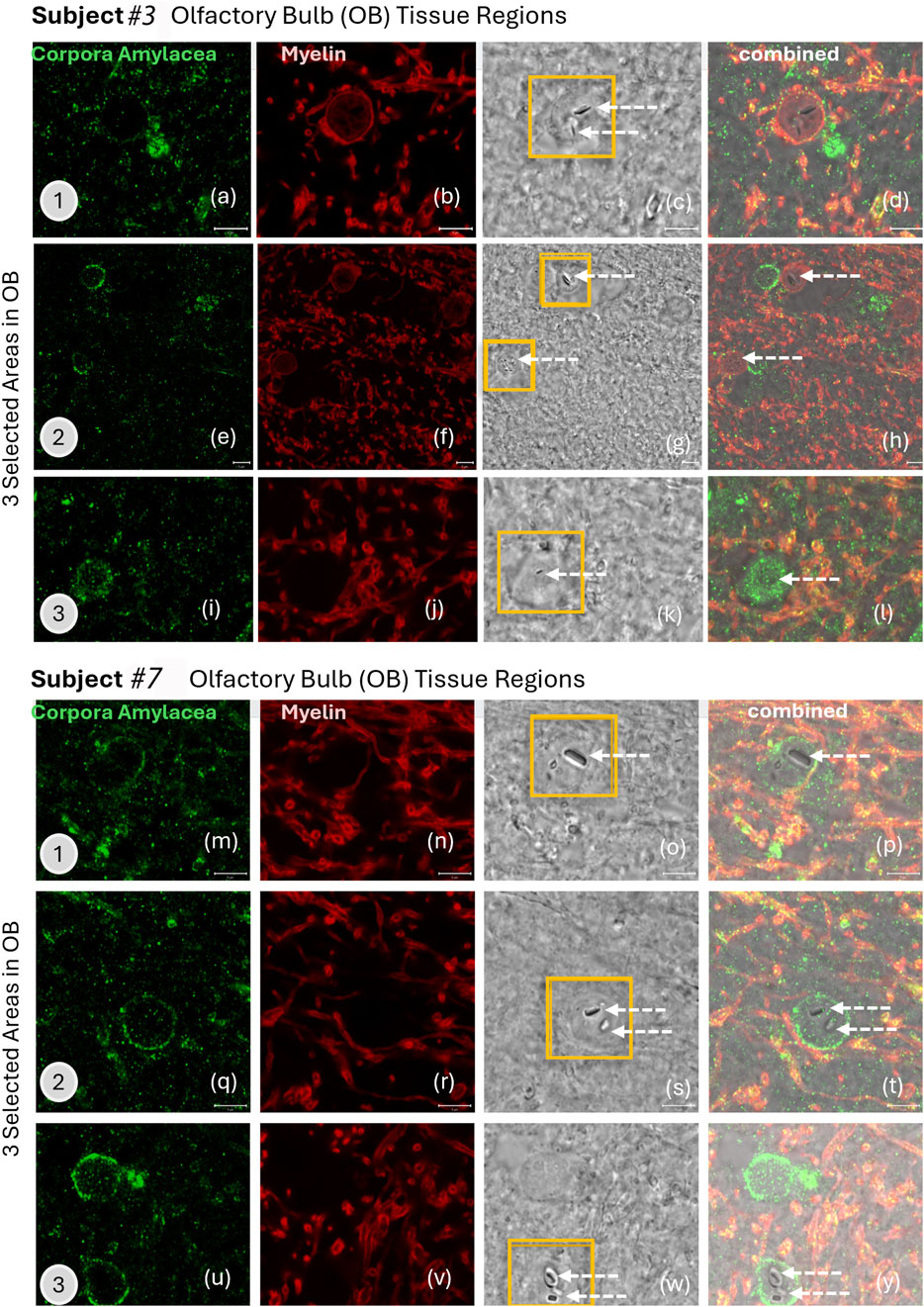
We are reporting here that inhaled nanosized elongated mineral particles (EMPs) are reaching the human central nervous system (CNS) via two neuronal pathways, cranial nerve I (olfactorius) and cranial nerve V (trigeminus) from deposits on the nasal mucosa. High resolution analytical imaging of autopsied brain tissues from eleven members of a Religious Orders Study (ROS) cohort (Rush Alzheimer’s Disease Center) indicated that EMPs translocate from their nasal deposits to the brain either by the olfactory pathway (presence in olfactory bulb , olfactory tract and amygdala) or by the trigeminal pathway (presence in cerebellum). Sub-nanometer imaging and immunohistochemical (IHC) labeling were used to detect Corpora Amylacea (CA), abundant numbers of endogenous ferritin nanoparticles, and myelin damage as indicators of inflammation or oxidative stress. The majority of EMP in the olfactory bulb (OB) were identified as inorganic crystalline and amorphous SiO2 fibers. Amphibole-like fibers (Mg/Si/Fe) were present as well as (length from 25 up to 200 nm), as well as lengthened nano plastics and metallic or carbonaceous fibers. Extensive and consistent demyelination, phosphorylation, wall thickening and CA bodies (size ranging from 10 nm to ~10 m) are present in all studied brain tissues. EMPs are frequently seen inside and outside of CA bodies that occur in close proximity to neurons with myelin damage. The majority of EMPs show shedding of nanosized fiber fragments and ions from their long fiber surfaces and the formation of carbon-rich coronas (physiochemical alterations: bioprocessing). Similar to spherical nanoparticles, EMPs show a tendency to bioprocess which involves interacting with microglia, astrocytes and CA. Concluding, we like to add that though the finding of ambient EMPs in OB, amygdala and cerebellum of human brains, is consistent with neuronal translocation from nasal deposits of inhaled EMPs to the human CNS, we consider it an important goal for future studies to investigate contribution of nano-EMPs from the blood compartment by crossing the BBB and other potential entry routes to the CNS.
Keywords: Nanofibers, Axons, Electron microscopy, Inflammation, neurodegeneration
Received: 27 Jun 2025; Accepted: 30 Sep 2025.
Copyright: © 2025 Graham, Pinto, Weuve, Dozier, Rogers, Nag, MD, PhD, FRCPC, Schneider, Kaufman, Bennett and Oberdorster. This is an open-access article distributed under the terms of the Creative Commons Attribution License (CC BY). The use, distribution or reproduction in other forums is permitted, provided the original author(s) or licensor are credited and that the original publication in this journal is cited, in accordance with accepted academic practice. No use, distribution or reproduction is permitted which does not comply with these terms.
* Correspondence: Uschi M Graham, ugraham@bioinnovationsinstitute.org
Disclaimer: All claims expressed in this article are solely those of the authors and do not necessarily represent those of their affiliated organizations, or those of the publisher, the editors and the reviewers. Any product that may be evaluated in this article or claim that may be made by its manufacturer is not guaranteed or endorsed by the publisher.
